Во время полевых исследований в Западном Алтае на турбазе «Экопосельее Чёрная Уба» прошедшим летом исследователи Глеб Болботов и Валентин Рудой обнаружили редкий вид клопа – Aradus depressus (Fabricius, 1794). Это первая зарегистрированная находка данного вида на территории Казахстана. Недавно в Евразиатском энтомологическом журнале вышла публикация об этом открытии.
Итак, знакомимся.
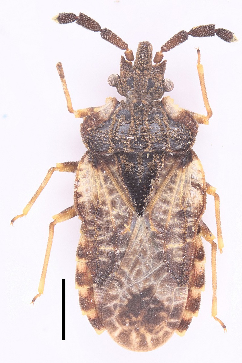
Клоп принадлежит к семейству Aradidae, представители которого живут под корой старых деревьев, на разрушающейся древесине и трутовиках. Обычно их можно встретить в старовозрастных лесах, где они играют важную роль в поддержании естественных экосистем.
Клопы и их роль в природе
Полужесткокрылые, или клопы (Heteroptera), – одна из самых разнообразных групп насекомых. В мире известно более 45 тысяч видов, от водных до сухопутных. Среди них есть и паразиты, и растительноядные, и хищные формы. Некоторые клопы действительно могут наносить вред сельскому хозяйству, повреждая пшеницу, гречиху, подсолнечник или плодово-ягодные культуры. Но не все клопы вредны – напротив, многие приносят значительную пользу природе.
Материал Глеба Болботова и Валентина Рудого о находке в Евразиатском энтомологическом журнале
Так, представители семейства Aradidae, к которому принадлежит найденный вид, питаются грибным мицелием и плодовыми телами трутовиков, а иногда и усыхающими тканями деревьев. Эти клопы участвуют в разложении древесины и переработке органики, поддерживая естественный круговорот веществ в лесу. Их присутствие – показатель здоровья экосистемы.
На заметку. Семейство Aradidae в мировой фауне более 285 родов и 2050 видов. В Палеарктике 28 родов и 204 вида. Тело уплощено дорсовентрально, окраска обычно темная, размеры варьируют от 2,2 до 20 мм, длина тела наших видов от 4,5 до 11 мм. Живут на стволах старых деревьев, под корой, на разрушающейся древесине, пнях, трутовиках, в ходах короедов, где и происходит их размножение. Зимуют на разных стадиях жизненного цикла. Питаются грибным мицелием и плодовым телом трутовиков, некоторые виды высасывают живые или усыхающие ткани деревьев.
Род Aradus Fabricius, 1803 относится к роду подсемейство Aradinae Brullé, 1836 семейства Aradidae. В Палеарктике род Aradus Fabricius, 1803 включает два подрода. В Казахстане род Aradus Fabricius, 1803 представлен 14 видов относятся. Во время энтомологических исследований на экопоселье «Чёрная Уба» был найден A. depressus (Fabricius, 1794). Это первая находка этого вида в Казахстане.
Почему находка важна
Обнаружение Aradus depressus в Восточном Казахстане – значимое событие для отечественной энтомологии. Этот вид ранее не был отмечен в Казахстане, и его появление помогает учёным лучше понять видовое разнообразие региона и особенности его лесных экосистем.
Кроме того, такие находки служат важным аргументом в пользу сохранения старовозрастных лесов, где обитают редкие и малоизученные виды. При проведении экологических исследований и оценке воздействия на природу (например, при планировании вырубок или разработке месторождений) подобные сведения учитываются для охраны биологического разнообразия.
Клопы глазами учёных
«У каждого живого существа есть своя миссия, – отмечает Валентин Рудой. – Даже если вид кажется человеку вредным, в природе он выполняет свою функцию. Клопы занимают обширную экологическую нишу: кто-то живёт в почве, кто-то на деревьях, а кто-то стал хищником. Среди них встречаются даже каннибалы. Всё это часть природного баланса».
Валентин Рудой за работой
Учёные планируют продолжить изучение находки на Чёрной Убе: выяснить, на каких деревьях обитает этот вид, чем питается и какова его роль в местной экосистеме. Это позволит лучше понять, какие условия необходимы для сохранения редких насекомых и уникальных природных сообществ Восточного Казахстана.
Восточно-Казахстанская область
Метки:


